Terrain, Tori-gare, TORI-BOSSITO
- Référence : 20250124091956
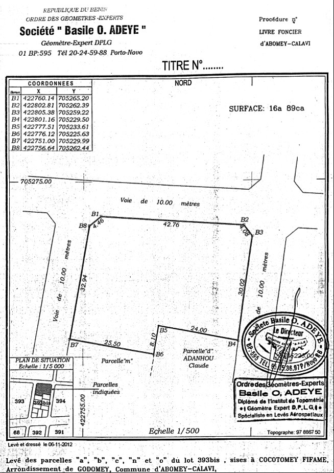
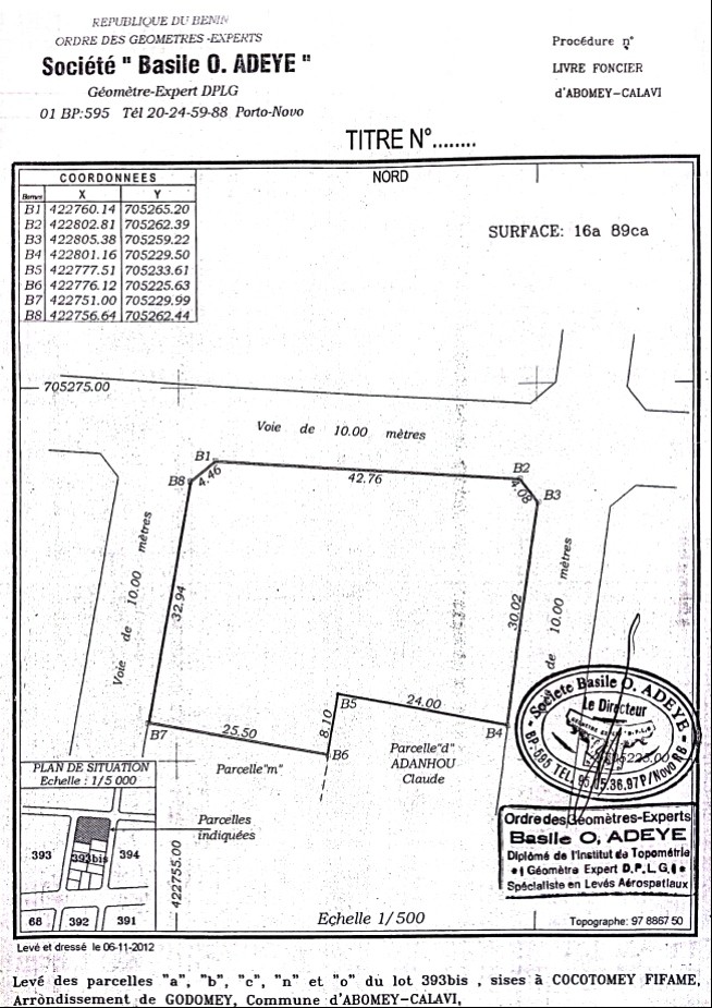
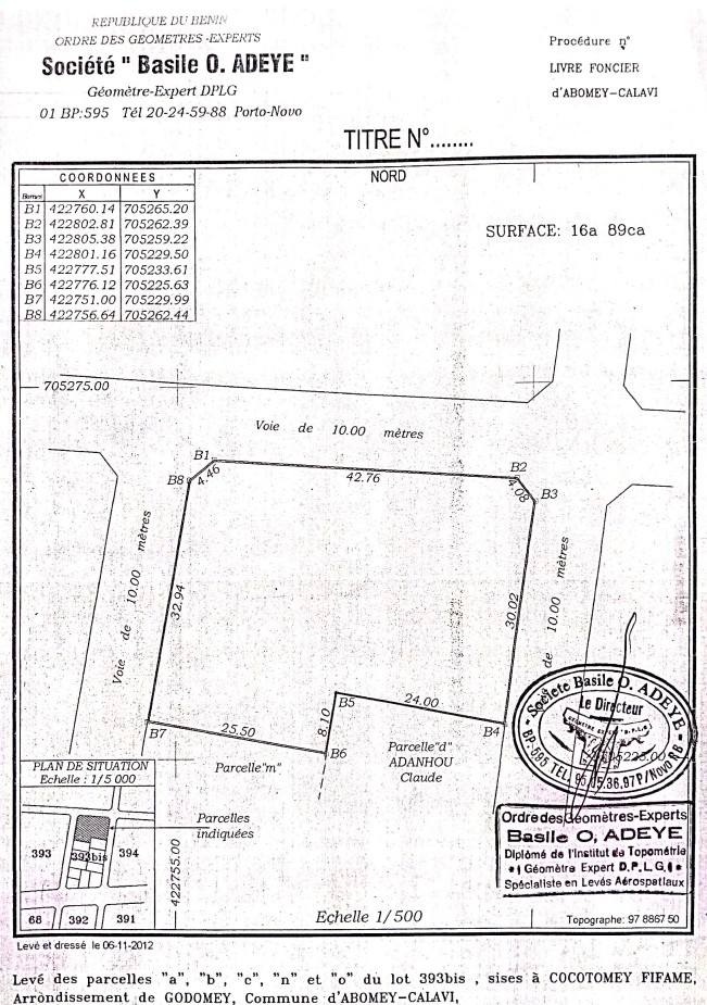
- Surface totale : 1 634 M2
- Prix de vente : 75 000 000 FCFA
- Ajouter aux favoris Partager :
*GRANDE PARCELLE EN VENTE À TORI-GARE AVEC TF PERSONNEL* Un particulier met en vente une grande *parcelle de 1634m²*. # À 800 mètres après TORI Gare, en quittant Hêvié # À 400m avant le CEG Agouako en quittant Tori gare # À 300m du goudron # Zone habitée avec poteaux électriques à proximité *Superficie : 1634m²* *Document : Titre Foncier Personnel* *PRIX : 7,5 MILLIONS* discutable
- Nature du Titre de propriété : Titre foncier
- Domaine clôturé : Non
L'agence vous communiquera toutes les informations concernant l'obtention de ce bien. Veuillez contacter SAINT KAMEPROS SERVICES ETS pour plus de détails.






































