Terrain, Adjagbo , ABOMEY-CALAVI
- Référence : 20240420224045
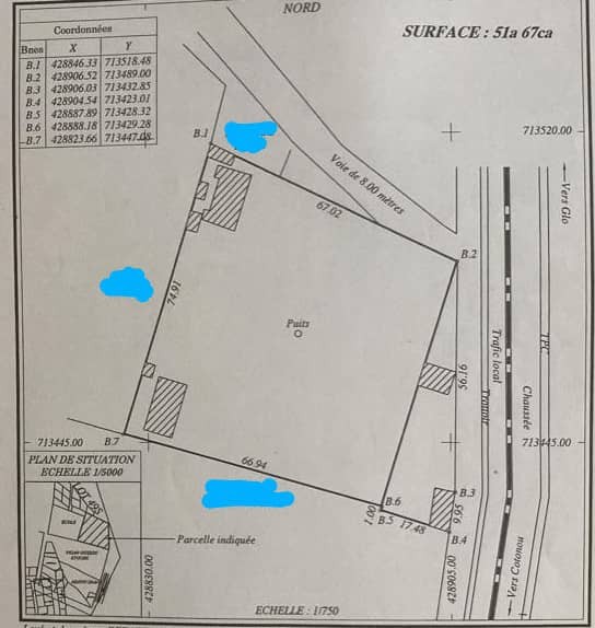
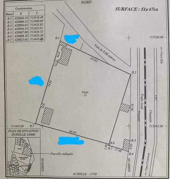
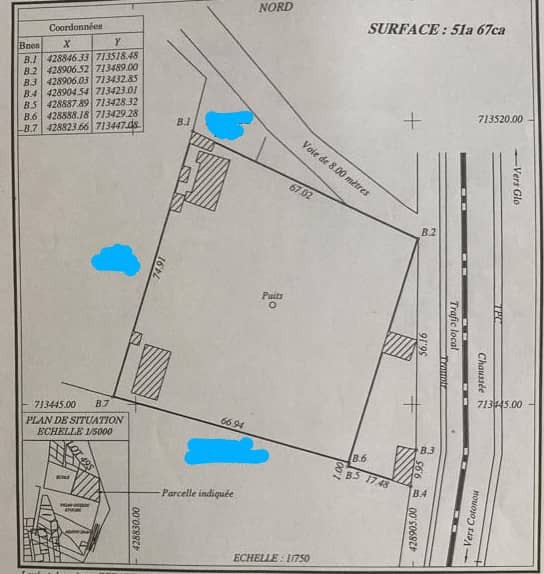
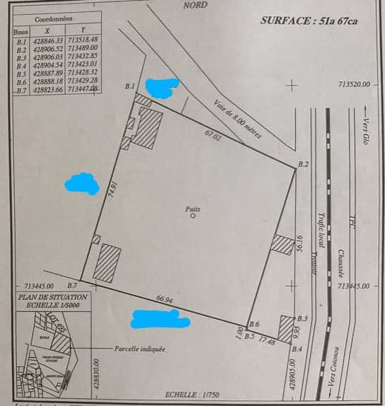
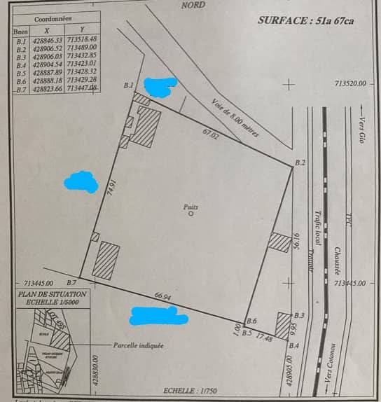
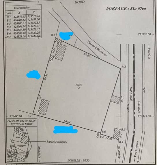
- Surface totale : 5 490 M2
- Prix de vente : 110 000 000 FCFA
- Ajouter aux favoris Partager :
2 DOMAINES EN ANGLE DE RUE D'UNE SUPERFICIE TOTALE DE 5490M² À VENDRE, ADJAGBO - AKASSATO Il est mis en vente 2 domaines d'une superficie de 3947M² & 1543M² respectivement soit une superficie totale de 5490M² situés en angles de rue au bord d'une grande voie principale de 40M non loin des Chinois derrière le Marché de moutons à Adjagbo, Akassato à Calavi. Documents disponibles : Titre Foncier Personnel / Domaine Prix : 110 millions / Domaine Entier Contact // (+229) 61 22 63 85 C/292416185485569622634
- Nature du Titre de propriété : Titre foncier
- Domaine clôturé : Non
L'agence vous communiquera toutes les informations concernant l'obtention de ce bien. Veuillez contacter HORACOM EXECUTIVE HOMES REALTY ETS pour plus de détails.




























