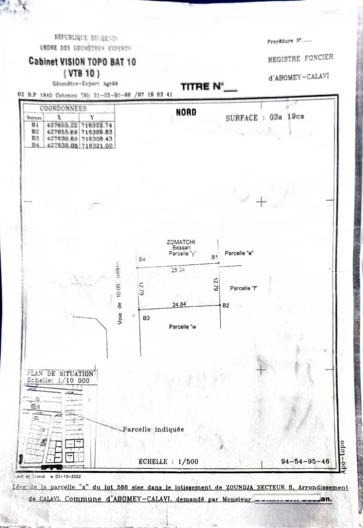
Terrain, Zogbadjè , ABOMEY-CALAVI
- Référence : 20231103184814
- Surface totale : 676 M2
- Prix de vente : 36 000 000 FCFA
- Ajouter aux favoris Partager :
*OPPORTUNITÉS IMMOBILIÈRE À CALAVI ZOGBADJE* Nous mettons en vente *à AB.CALAVI ZOGBADJE* un lot de 2 parcelles ensembles non loin du quartier latin et du petit portail de campus les parcelles sont situés dans une zone résidentielle très bon pour les locations , habitation et pleins d'autres projets *Superficie : 341m² et 335m²* Documents : TF personnel / parcelles et levé topographique *Prix de vente unitaire 18.000.000fcaf/parcelle négociable très légèrement* 5% payer par l'acquéreur *NB:VISITE PAYANTE*
- Nature du Titre de propriété : Titre foncier
- Domaine clôturé : Non
L'agence vous communiquera toutes les informations concernant l'obtention de ce bien. Veuillez contacter AHS International Group SARL pour plus de détails.




















































































































































